Wi-Spy


强大的双频频谱
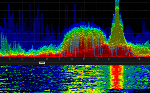
Chanalyzer需与Wi-Spy DBx配合使用,这是一款功能强大的双频谱分析仪,可测量2.4 GHz和5 GHz中Wi-Fi和非Wi-Fi的活动频道。 Chanalyzer利用来自Wi-Spy DBx的频道数据为您提供Wi-Fi网路环境的实时可视化概览。
定位辨识干扰源
一旦看到干扰,下一步的目标就是消除干扰讯号。 Wi-Spy DBx分析仪上的定向天线能够高度集中找寻非Wi-Fi的干扰源,并针对干扰讯号进行分析,这可以让您从Wi-Fi环境中主动寻找并排除相关的讯号干扰。
监控频道的使用状况及干扰
根据Wi-Spy DBx所提供的原始RF讯息,可与绘制图像范围内的每个连接点配对。 Chanalyzer可为您提供全面的监控及管理讯息,其中内建的录制功能甚至能追踪最棘手的Wi-Fi问题 – 间歇性干扰,再计画出如何消除此干扰的计画。
轻松透过几下按键即可产出客制化报告,透过此处查看案报告样本





